Bán đất 200m2 Quảng Thắng - mặt tiền 10m - tặng nhà kho rộng - đường 15m vỉa hè 4m

8,8 Tỷ 200 m2 Quảng Thắng, Thanh Hóa
1 tháng trước
4
4

Thông tin mô tả

Có những lô đất không chỉ để ở… mà còn là nơi bắt đầu cho một kế hoạch lớn hơn.

Sáng mở cửa là đường rộng thênh thang, chiều về có sẵn không gian để kinh doanh, làm kho, hoặc đơn giản là một chốn an cư đủ đầy cho cả gia đình. Lô đất này ở Quảng Thắng chính là kiểu “đa năng” như vậy – mua một mà dùng được rất nhiều việc.

📍 Vị trí nằm gần khu trung tâm Quảng Thắng cũ – nơi mọi tiện ích đều đã hình thành sẵn:

Gần UBND, công an phường
Cách trường cấp 1,2 chỉ vài phút
Gần Trường Chính trị tỉnh
Chỉ khoảng 500m tới BV Đa khoa & BV Phụ sản tỉnh
Kết nối nhanh ra đại lộ CSEDP – đi đâu cũng tiện

📐 Thông tin chi tiết:

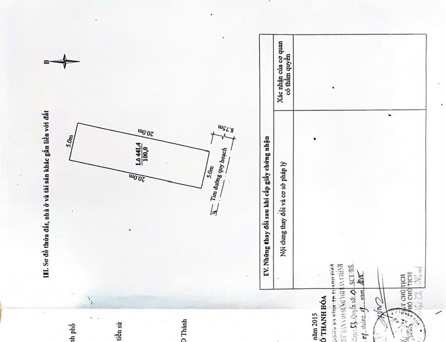
Diện tích: 200m² (10m x 20m) – vuông vắn, cực đẹp
Hướng: Nam – mát mẻ, hợp phong thủy
Đường trước nhà: rộng 15m, vỉa hè 4m – ô tô tránh thoải mái

🎁 Điểm đặc biệt:
Trên đất đã có sẵn nhà kho rộng rãi – cực kỳ giá trị.
Anh chị có thể:

Cải tạo thành nhà ở tiện nghi
Làm kho chứa hàng, xưởng nhỏ
Kết hợp vừa ở vừa kinh doanh

🏡 Công năng hiện có:

1 phòng khách
3 phòng ngủ
1 bếp
1 vệ sinh

💎 Lô đất phù hợp:

Gia đình cần không gian rộng rãi, thoáng
Người kinh doanh cần kho sẵn
Nhà đầu tư muốn giữ tài sản lâu dài khu trung tâm

💰 Giá: 8,8 tỷ (có thương lượng)

📞 Liên hệ ngay: 0363.136.613 (Tú) để xem đất thực tế và làm việc trực tiếp.

#dat_quang_thang_200m2
#dat_mat_duong_thanh_hoa
#dat_co_nha_kho
#bat_dong_san_thanh_hoa
#dat_dep_de_o_va_kinh_doanh

Đặc điểm bất động sản

  • Mức giá 8,8 Tỷ
  • Diện tích 200 m2
  • Pháp lý Sổ hồng
  • Mặt tiền 10 m
  • Đường vào (rộng) 16 m
Vị trí: bán đất 200m2 quảng thắng – mặt tiền 10m – tặng nhà kho rộng – đường 15m vỉa hè 4m, Phường Quảng Thắng, Thanh Hóa
Xem bản đồ vệ tinh

Bán đất